Luis Vollath

Luis Vollath

Senior Expert PM Methods at Chief Digital Office department

BWI GmbH

Biography

Luis Vollath is a Senior Business Intelligence expert and Data Analyst and is currently working at the Chief Digital Office department of BWI GmbH in Bonn where he specializes in Data Storytelling, Data Analysis and dashboarding. He has a background in information systems and economics. In the business context, due to his experience and interdisciplinary background, he benefits the company with his multidimensional perspective on analyzing and harnessing corporate data.

Download my CV.

Lebenslauf auf Deutsch.

Interests

  • Data Science
  • Business Intelligence
  • Statistics
  • Data Storytelling
  • Economics
  • Design Thinking
  • Philosophy
  • Running
  • Music
  • Art

Education

  • Dual System Master (M.Sc.) Information Systems, 2023

    Steinbeis School of Management and Technology & BWI GmbH

  • Master (M.Sc.) International Economics and Public Policy, 2021

    Johannes Gutenberg University Mainz

  • Bachelor (B.A.) International Cultural Business Studies, 2016

    University of Passau

Experience

 
 
 
 
 

Senior Expert PM Methods at Chief Digital Office

BWI GmbH

Apr 2026 – Present Bonn

Responsibilities include:

  • Implementing a multi level BI reporting toolkit
  • Administrative reporting tasks in the context of projects
  • Business Intelligence/Data Analysis (in Strategy/MicroStrategy)
  • Data Storytelling
  • Data Management
  • Business Intelligence consulting for various projects in the company
 
 
 
 
 

Expert Central Obligations at Chief Digital Office

BWI GmbH

Apr 2023 – Mar 2026 Bonn

Responsibilities include:

  • Business Intelligence/Data Analysis (in Strategy/MicroStrategy)
  • Data Storytelling
  • Data Management
  • Business Intelligence consulting for various projects in the company
 
 
 
 
 

Trainee at BWI GmbH

BWI GmbH

Apr 2021 – Mar 2023 Bonn

Responsibilities include:

  • Business Intelligence
  • Expanding platform-based reporting of key figures and firm data
  • Establishing a multi-level project reporting
 
 
 
 
 

Working Student at the Evaluation Department

KfW Development Bank

Jan 2020 – Mar 2021 Frankfurt

Responsibilities include:

  • Updating and maintaining data bases
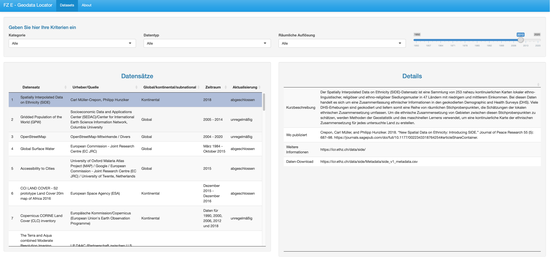
  • Geodata Locator (in GitLab)
  • Data Science
  • Evaluation Templates
 
 
 
 
 

Working Student at the Department of Quality and Sustainability Management

GIZ (Gesellschaft für Internationale Zusammenarbeit)

Dec 2018 – Feb 2019 Bonn
Updated and redesigned the monitoring tool Corporate Sustainability Handprint CSH
 
 
 
 
 

Intern at the Department of Quality and Sustainability Management

GIZ (Gesellschaft für Internationale Zusammenarbeit)

May 2018 – Oct 2018 Bonn

Responsibilities included:

  • Organisation of a hybrid event (Sustainability prize)
  • Organisation of the internal event Days for Sustainability Action
  • Maintenance of the corporate sustainability monitoring tool of GIZ
 
 
 
 
 

Intern at the Department of Politics and Management Affairs

KfW DEG (Deutsche Investitions- und Entwicklungsgesellschaft)

Sep 2017 – Feb 2018 Cologne

Responsibilities included:

  • Communication with political environment of KfW (Ministries, Institutions)
  • Coordination of Country Information Briefing Documents
  • Support in preparing the committee meetings of DEG

Skills

R

80%

MicroStrategy

90%

Statistics

70%

Python

40%

English

C1 (TOEFL iBT 114 Points)

Spanish

B2/C1

PostgreSQL

60%

Guitar

65%

Piano

80%

Singing (Choir)

70%

Certificates

Enterprise Design Thinking Co-Creator

IBM Enterprise Design Thinking Co-Creator

Enterprise Design Thinking Practitioner

IBM Enterprise Design Thinking Practitioner

ITIL 4 Foundation

ITIL v4 Foundation in IT Service Management

GFU Certified Oracle SQL Developer

Data base management with Oracle SQL

GFU Certified SQL Developer

Data base management with SQL

Data Storytelling

Essential techniques of Data Storytelling for dashboards and presentations

Departmental Analyst

Dashboarding and data analysis within MicroStrategy

Projects

*
GeoData Locator

GeoData Locator

R Shiny app, allowing to search for data sets, overview pages or tools of spatial data for potential use in evaluation work.